Praktische Industrie- / Werkshalle mit großem Einfahrtstor zur Miete in St. Valentin
Beschreibung
Werkshalle mit min. 176 m² Nutzungsfläche, ca. 515 m² Freifläche davon 65 m² überdacht - individuell gestaltbar für Ihre Geschäftsidee
"Halle 2-A" ist ein räumlich getrennter und einzel mietbarer Teil der großen "Halle 2", eine vielseitig nutzbare Gewerbeimmobilie im neu entstehenden Gewerbepark „RUE 9“ in St. Valentin.
Viel Platz für Ihre Projekte / Ihre Werkstatt / Ihr Geschäft:
- 176 m² Hallenfläche
- 6 - 8 m Hallenhöhe
- eigenes Zufahrtstor - LKW-gerechte Abmessungen
- 515 m² Freifläche, davon 65 m² überdacht
- 300 m² Stellplatzfläche direkt gegenüber der Halle
Die angegebenen Maße sind nur ein Basiswert zur Vermietung. Sie benötigen mehr...
Werkshalle mit min. 176 m² Nutzungsfläche, ca. 515 m² Freifläche davon 65 m² überdacht - individuell gestaltbar für Ihre Geschäftsidee
"Halle 2-A" ist ein räumlich getrennter und einzel mietbarer Teil der großen "Halle 2", eine vielseitig nutzbare Gewerbeimmobilie im neu entstehenden Gewerbepark „RUE 9“ in St. Valentin.
Viel Platz für Ihre Projekte / Ihre Werkstatt / Ihr Geschäft:
- 176 m² Hallenfläche
- 6 - 8 m Hallenhöhe
- eigenes Zufahrtstor - LKW-gerechte Abmessungen
- 515 m² Freifläche, davon 65 m² überdacht
- 300 m² Stellplatzfläche direkt gegenüber der Halle
Die angegebenen Maße sind nur ein Basiswert zur Vermietung. Sie benötigen mehr Platz? Kein Problem! Die räumliche Trennung von der gesamten "Halle 2" wird erst nach gemeinsamer Abstimmung und abgeschlossenem Mietvertrag errichtet, bis dahin besteht Flexibilität für Ihre Anforderungen. Die aktuell vor Ort befindliche Koje (siehe Bild 2) wird ebenfalls abgetragen. Das Zufahrtstor aus Bild 3 befindet sich innerhalb dieser Koje und führt dann direkt in "Halle 2-A".
BETRIEBSKOSTEN SIND ALS RICHTWERTE ZU SEHEN
Informationen zur übergeordneten "Halle 2":
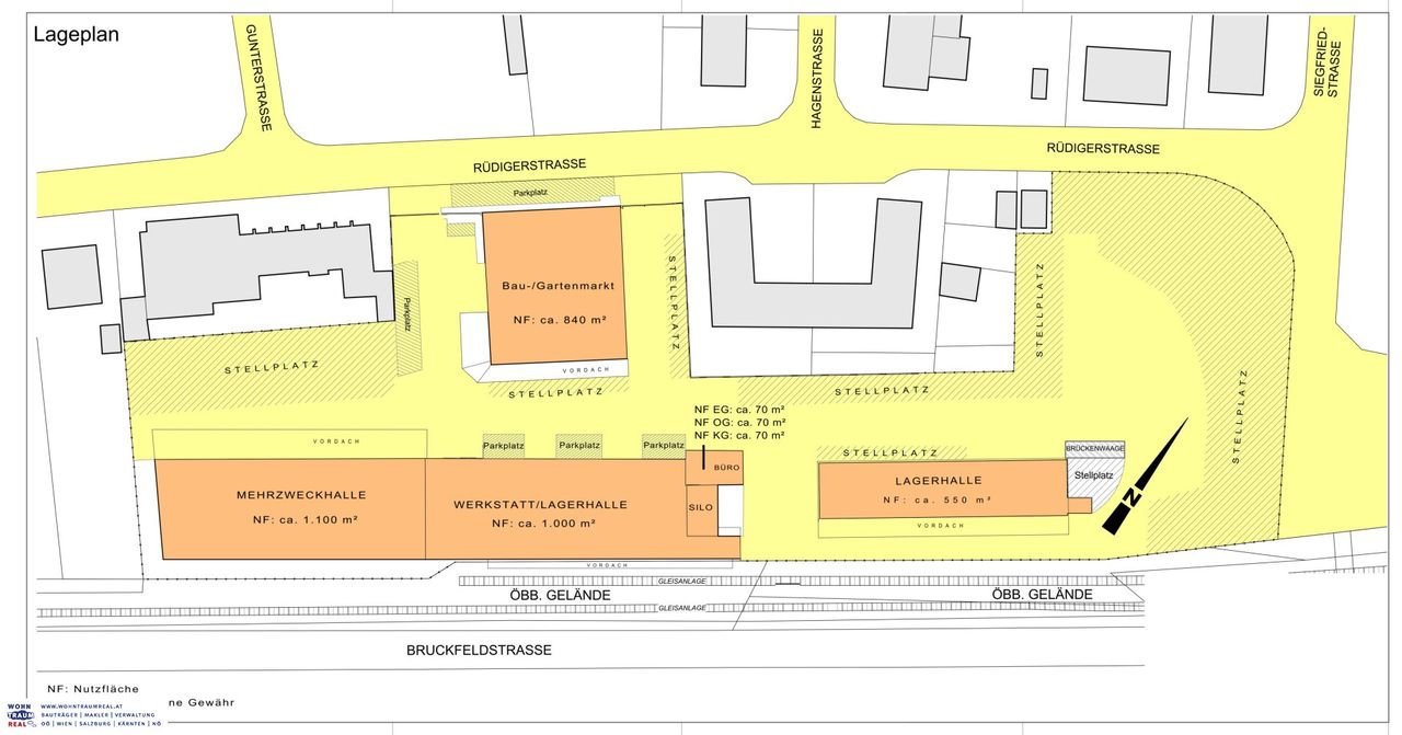
Das Objekt umfasst mehrere räumlich abgetrennte Einheiten sowie überdachte Freiflächen und bietet insgesamt rund 1.268,67 m² Nutzfläche und zusätzlich 282,89 m² überdachte Freifläche.
Hallenfläche gesamt: ca. 1.268,67 m²
eine große Halle (2.1) mit 2 Zufahrtstoren mit 954,47 m² - ideal auch für LKW-Zufahrten und witterungsunabhängige Nutzung
ein in dieser Halle befindlicher, abgetrennter Bereich (2.2) mit Rolltor und eigenem Zufahrtstor mit 57,53 m² - ideal auch für LKW-Zufahrten und witterungsunabhängige Nutzung
zwei abgetrennte Hallen (2.3, 2.4) mit eigenem Aussenzugang und Verbindungstor zur großen Halle (2.1) - mit 10,39 m² + 63,99 m². Sind eigene Räumlichkeiten mit Decke, bieten somit nocheinmal Ablagemöglichkeiten am "Dach"
ein zusätzlicher Lagerbereich ("W3") mit offener Verbindung zur großen Halle - mit 182,09 m²
Überdachte Freiflächen: 282,89 m²
Kurz zusammengefasst:
Gesamtnutzfläche: ca. 1.268,67 m²
Freiflächen, überdacht: 282,89 m²
Halle mit LKW-Zufahrt, 3 große Tore
viele Parkplätze
Flexible Nutzungsmöglichkeiten: Werkstatt, Produktion, Lager, Logistik
Ehem. Lagerhaus – solide Bausubstanz, betriebsbewährt
Betriebsbaugebiet
Teil des Gewerbeparks „Rue 9“ – mit Garagenpark & wachsendem Netzwerk
Viele Parkplätze und Zufahrten vorhanden
Individuelle Umbauten möglich
Ehemaliges Lagerhaus-Areal – Jetzt mit neuer Perspektive
Die gesamte Immobilie war zuletzt als Werkstatt und Lager des Lagerhaus-Betriebs im Einsatz und ist dementsprechend robust ausgeführt und auf praktische Nutzbarkeit ausgelegt. Durch die Lage im Betriebsbaugebiet sind auch emissionsintensivere Nutzungen wie KFZ-Betriebe, Tischlereien oder metallverarbeitende Unternehmen problemlos möglich – Lärmbelästigung stellt hier kein Thema dar.
Dank vielfältiger Zufahrtsmöglichkeiten, großzügiger Parkflächen und der beheizten Hallen eröffnen sich hier optimale Bedingungen für unterschiedlichste gewerbliche Nutzungskonzepte:
Produktion & Handwerk: Ideal für Tischlereien, Schlossereien, KFZ-Werkstätten oder andere produzierende Betriebe
Logistik & Spedition: Die großzügige Zufahrt und Hallenhöhe ermöglicht auch LKW-Zufahrten und -Manöver innerhalb der Hallen
Selfstorage & Lagerkonzepte: Perfekte Voraussetzungen für Anbieter wie „MyPlace“ oder ähnliche Konzepte zur Lagerplatzvermietung
Start-ups & Skalierende Unternehmen: Flexible Raumaufteilung und großzügige Lager- und Büroflächen ermöglichen individuelles Wachstum
Teil des Gewerbeparks „Rue 9“ – Synergien vorprogrammiert
Das Objekt ist Teil des neuen Gewerbeparks „Rue 9“, der zukünftig in St. Valentin entsteht. Ein zentrales Element wird dabei ein geplanter Garagenpark mit rund 150 Einzelgaragen zur Vermietung sein. Gerade für KFZ-Betriebe, Werkstätten oder Unternehmen mit Lagerbedarf ergeben sich hier spannende Synergien und eine potenzielle Kundschaft direkt vor Ort.
Anpassbar & Verhandelbar – ganz nach Ihrem Bedarf
Ein großer Pluspunkt dieser Immobilie ist ihre Anpassungsfähigkeit. Individuelle Umbauten, Aufteilungen oder Renovierungen können nach Absprache mit dem Vermieter umgesetzt werden. So kann die Immobilie exakt auf die Anforderungen Ihres Unternehmens zugeschnitten werden – egal ob Sie Teilbereiche abtrennen möchten oder eine Gesamtnutzung anstreben.
Ihr Unternehmen braucht Platz zum Wachsen?
Diese Immobilie ist bereit dafür. Kontaktieren Sie uns für weitere Informationen oder einen Besichtigungstermin!
Der Vermittler ist als Doppelmakler tätig.
Infrastruktur / Entfernungen
Gesundheit
Arzt <500m
Apotheke <500m
Klinik <1.000m
Kinder & Schulen
Schule <500m
Kindergarten <1.000m
Nahversorgung
Supermarkt <500m
Bäckerei <500m
Einkaufszentrum <6.000m
Sonstige
Bank <500m
Geldautomat <500m
Post <1.500m
Polizei <2.000m
Verkehr
Bus <500m
Autobahnanschluss <3.000m
Bahnhof <1.500m
Angaben Entfernung Luftlinie / Quelle: OpenStreetMap
Objektdaten
Flächen
- Nutzfläche
- 176m²
- Gesamtfläche
- 691m²
- Lagerfläche
- 176m²
- Freifläche
- 515m²
Kosten
Hallen und Lager zum Mieten im Umkreis von St. Valentin
Hallen und Lager zum Mieten im Umkreis von St. Valentin
Hallen und Lager zum Mieten in Österreich
Andere Besucher suchen nach...
- Grundstücke kaufen in 3400 Weidlingbach
- Wohnungen kaufen in 4663 Laakirchen
- Häuser in 7471 Rechnitz
- Wohnungen in 2410 Hainburg an der Donau
- Häuser kaufen in 2432 Schwadorf
- Wohnungen kaufen in 3002 Purkersdorf
- Häuser in 3150 Wilhelmsburg
- Wohnungen kaufen in 3470 Engelmannsbrunn
- Grundstücke kaufen im Bezirk Mattersburg
- Grundstücke kaufen im Bezirk Gmunden