Autoplatz, Lagerplatz 600 m², Nahe Stadtgrenze Wien in Schwechat / Kledering, S1 Knoten Schwechat = 1 Autominute
Beschreibung
Klederinger Straße 31, Nahe Stadtgrenze Wien, 1 Autominute (1,3 km) bis zum Autobahnknoten Schwechat
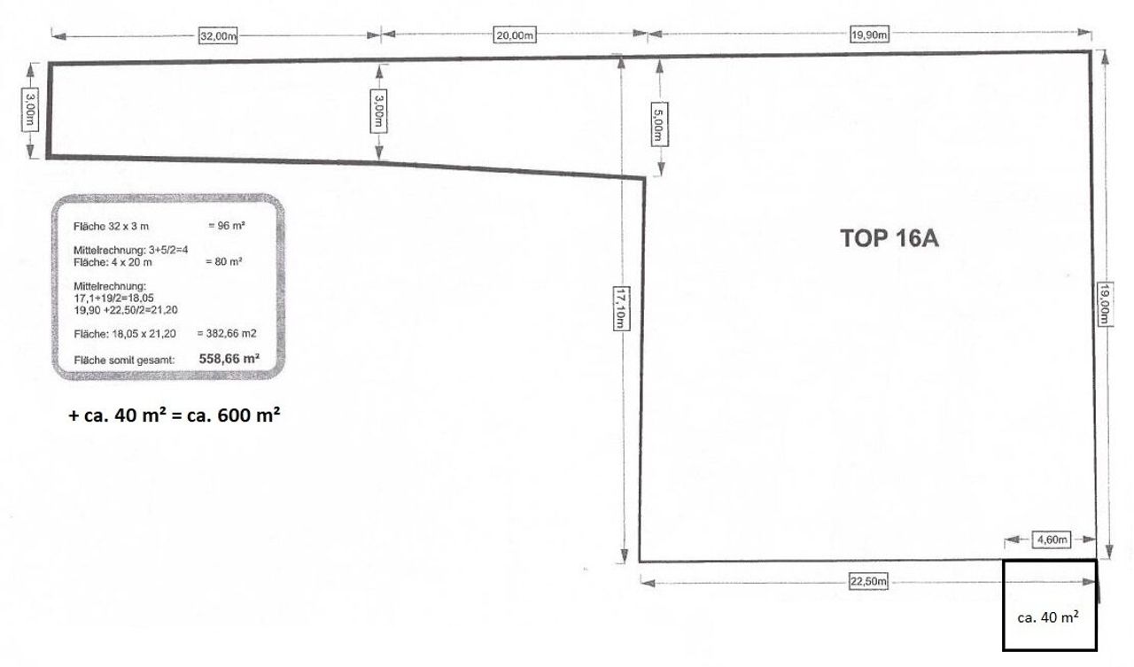
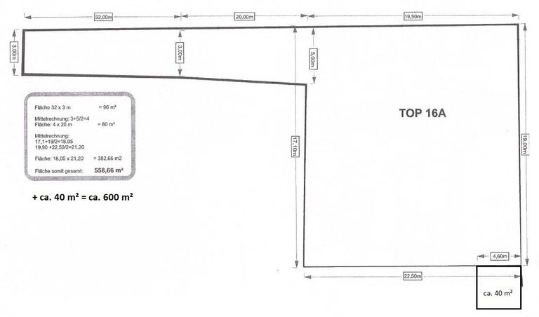
Achtung! Gebäude am Bild werden nicht mitvermietet. Dieses angebotene Gewerbeobjekt besteht aus der abgebildeten Freifläche von ca. 600 m² lt. abgebildeten Plan, geeignet für Autoplatz, Stellplätze oder Lagerplatz etc.
Zufahrt direkt über Einfahrt von der Strasse.
Container werden nicht mitvermietet sondern an den Mieter verschenkt. Falls er sie nicht braucht, kann er sie auch verkaufen oder verschenken.
Hauptmietzins monatl. netto: € 1.850,- zuzügl. 20 % USt. (Kleinunternehmer ohne USt.)
Kaution: € 6.660,00
Befristung 3 bis 10 Jahre bzw. nach Vereinbarung.
ALLEINBEAUFTRAGT
WIR WEISEN...
Klederinger Straße 31, Nahe Stadtgrenze Wien, 1 Autominute (1,3 km) bis zum Autobahnknoten Schwechat
Achtung! Gebäude am Bild werden nicht mitvermietet. Dieses angebotene Gewerbeobjekt besteht aus der abgebildeten Freifläche von ca. 600 m² lt. abgebildeten Plan, geeignet für Autoplatz, Stellplätze oder Lagerplatz etc.
Zufahrt direkt über Einfahrt von der Strasse.
Container werden nicht mitvermietet sondern an den Mieter verschenkt. Falls er sie nicht braucht, kann er sie auch verkaufen oder verschenken.
Hauptmietzins monatl. netto: € 1.850,- zuzügl. 20 % USt. (Kleinunternehmer ohne USt.)
Kaution: € 6.660,00
Befristung 3 bis 10 Jahre bzw. nach Vereinbarung.
ALLEINBEAUFTRAGT
WIR WEISEN AUSDRÜCKLICH AUF EIN WIRTSCHAFTLICHES NAHEVERHÄLTNIS ZUM AUFTRAGGEBER HIN!
Beratung und Besichtigung sind kostenlos, nur bei Abschluss eines Mietvertrages wird unser übliches Maklerhonorar in Höhe von 3 Bruttomieten zzgl. 20% USt. in Rechnung gestellt.
BITTE BEACHTEN SIE, DASS WIR AUFGRUND DER NACHWEISPFLICHT GEGENÜBER DEM EIGENTÜMER NUR ANFRAGEN MIT VOLLSTÄNDIGER ANGABE DES VOR- UND FAMILIENNAMENS UND DER TELEFONNUMMER BEARBEITEN KÖNNEN.
Der Vermittler ist als Doppelmakler tätig.
Infrastruktur / Entfernungen
Gesundheit
Arzt <2.425m
Apotheke <1.400m
Klinik <2.550m
Krankenhaus <8.050m
Kinder & Schulen
Schule <1.475m
Kindergarten <950m
Universität <5.700m
Höhere Schule <7.175m
Nahversorgung
Supermarkt <1.375m
Bäckerei <600m
Einkaufszentrum <2.150m
Sonstige
Geldautomat <2.225m
Bank <2.325m
Post <1.400m
Polizei <2.500m
Verkehr
Bus <50m
U-Bahn <3.525m
Straßenbahn <1.625m
Bahnhof <600m
Autobahnanschluss <725m
Flughafen <8.950m
Angaben Entfernung Luftlinie / Quelle: OpenStreetMap
Objektdaten
Flächen
- Gesamtfläche
- 600m²
- Freifläche
- 600m²
- Grundstücksfläche
- 600m²
Kosten
- Gesamtmiete Brutto
- € 2.220,00
- Miete
- € 1.850,00
- Umsatzsteuer
- € 370,00
Hallen und Lager zum Mieten im Umkreis von Schwechat
- Bezirk Gemeindebezirk Simmering
- Bezirk Gemeindebezirk Simmering
- Bezirk Gemeindebezirk Simmering
- Bezirk Gemeindebezirk Favoriten
- Bezirk Gemeindebezirk Favoriten
- Bezirk Gemeindebezirk Favoriten
- Bezirk Gemeindebezirk Liesing
- Bezirk Gemeindebezirk Liesing
- Bezirk Gemeindebezirk Liesing
- Bezirk Gemeindebezirk Donaustadt
Hallen und Lager zum Mieten im Umkreis von Schwechat
Hallen und Lager zum Mieten in Österreich
Andere Besucher suchen nach...
- Grundstücke kaufen in 3400 Weidlingbach
- Wohnungen kaufen in 4663 Laakirchen
- Häuser in 7471 Rechnitz
- Wohnungen in 2410 Hainburg an der Donau
- Häuser kaufen in 2432 Schwadorf
- Wohnungen kaufen in 3002 Purkersdorf
- Häuser in 3150 Wilhelmsburg
- Wohnungen kaufen in 3470 Engelmannsbrunn
- Grundstücke kaufen im Bezirk Mattersburg
- Grundstücke kaufen im Bezirk Gmunden