WOHLFÜHLLEBEN IN OBER ST. VEIT
-
Frühjahr 2026
Beschreibung
Ein Schmuckstück, eingebettet in eine wunderbare Landschaft, wo Erholungsgebiete das ganze Jahr viele Sport- und Freizeitmöglichkeiten bieten. Ein Garten und großzügige Räume verwirklichen Ihren Traum!
Dieses Reihenhaus in der Mitte liegend wurde 1980 erbaut, ab 2007 laufend investiert und adaptiert, wie zB 2018 3-fach verglaste Fenster mit Außenbeschattung, vor 3 Jahren wurden die Außenbalkone saniert, Wärmeschutzfassade im 1. und 2. OG mit 20cm, Heizung 2024 Luftwärmepumpe und Photovoltaikanlage.
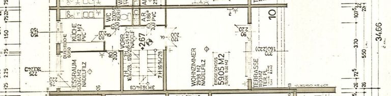
Raumaufteilung: Die Liegenschaft ist auf 4 Etagen aufgeteilt Sie betreten das Vorzimmer im Erdgeschoss, wo sich ein Zimmer befindet (Ankleideraum oder Gästezimmer), im hinteren Bereich ist der Keller, welcher mit Heizanlage, Waschmaschine...
Ein Schmuckstück, eingebettet in eine wunderbare Landschaft, wo Erholungsgebiete das ganze Jahr viele Sport- und Freizeitmöglichkeiten bieten. Ein Garten und großzügige Räume verwirklichen Ihren Traum!
Dieses Reihenhaus in der Mitte liegend wurde 1980 erbaut, ab 2007 laufend investiert und adaptiert, wie zB 2018 3-fach verglaste Fenster mit Außenbeschattung, vor 3 Jahren wurden die Außenbalkone saniert, Wärmeschutzfassade im 1. und 2. OG mit 20cm, Heizung 2024 Luftwärmepumpe und Photovoltaikanlage.
Raumaufteilung:
Die Liegenschaft ist auf 4 Etagen aufgeteilt
Sie betreten das Vorzimmer im Erdgeschoss, wo sich ein Zimmer befindet (Ankleideraum oder Gästezimmer), im hinteren Bereich ist der Keller, welcher mit Heizanlage, Waschmaschine und Trockner ausgestattet ist.
Freuen Sie sich auf kühlere Tage, wo Sie die großzügige Sauna genießen können.
Über die Treppen gelangen Sie ins Obergeschoss, wo sich die Küche mit sämtlichen Geräten, eine Kochinsel mit Blick zum Essbereich befinden. Hier begehen Sie auch den kleinen Garten, welcher Herbststimmung verbreitet und zum Relaxen und Verweilen einlädt! Auf der gegenüberliegende Seite der Küche ist das großzügige Wohnzimmer mit Balkon und herrlichen Blick ins unverbaubare Grüne! WC und Abstellraum auf dieser Ebene
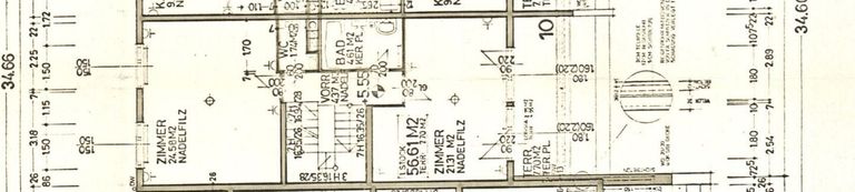
Weiters über eine Treppe gelangt man ins erste Obergeschoss, wo links und rechts ein Schlafzimmer ist, 1 davon ist wiederum mit einer Außenfläche, welche zum Ausklingen des Abends mit 1 Glas Wein einlädt. Hier ein Badezimmer mit Wanne und WC.
Nun zum Dachgeschoss, wo sich der großzügige Dachboden als Spielezimmer (zB Billard) eignet. Ein großzügiges weiteres Zimmer mit angrenzendem Bad ist ebenso vorhanden.
Die Klimaanlage sorgt für einen warmen Sommer!
Die Böden sind mit Parkett und Fliesen ausgestattet
Garagenplatz ist dabei - kein direkter Zugang zur Wohneinheit
Regina Degen freut sich über Ihre Kontaktaufnahme!
Infrastruktur / Entfernungen
Gesundheit
Arzt <500m
Apotheke <1.000m
Klinik <1.000m
Krankenhaus <1.500m
Kinder & Schulen
Schule <1.500m
Kindergarten <1.000m
Universität <1.000m
Höhere Schule <5.500m
Nahversorgung
Supermarkt <1.000m
Bäckerei <1.500m
Einkaufszentrum <4.500m
Sonstige
Geldautomat <1.500m
Bank <1.500m
Post <1.500m
Polizei <2.000m
Verkehr
Bus <500m
U-Bahn <2.000m
Straßenbahn <1.500m
Bahnhof <2.000m
Autobahnanschluss <4.500m
Angaben Entfernung Luftlinie / Quelle: OpenStreetMap
Objektdaten
Zustand
- Baujahr
- 1980
- HWB
- 48.7 kWh/m² pro Jahr
- Klasse HWB
- C
- fGEE
- 0.87
- Klasse fGEE
- B
Flächen
- Anzahl der Zimmer
- 5
- Anzahl der Badezimmer
- 2
- Anzahl der sep. WCs
- 3
- Anzahl der Balkone
- 2
- Anzahl der Terrassen
- 1
- Wohnfläche
- 212m²
- Kellerfläche
- 25m²
- Terrassenfläche
- 1m²
Kosten
- Kaufpreis Brutto
- € 995.000,00
- Betriebskosten
- € 187,96
- Heizkosten
- € 80,64
- Sonstige Kosten
- € 214,59
Verwaltung
- Verfügbar ab
- Frühjahr 2026
Häuser zum Kaufen in Österreich
- Bezirk Gemeindebezirk Hietzing
- Bezirk Gemeindebezirk Hietzing
- Bezirk Gemeindebezirk Hietzing
- Bezirk Gemeindebezirk Penzing
- Bezirk Gemeindebezirk Penzing
- Bezirk Gemeindebezirk Penzing
- Bezirk Gemeindebezirk Meidling
- Bezirk Gemeindebezirk Meidling
- Bezirk Gemeindebezirk Meidling
- Bezirk Gemeindebezirk Ottakring
Häuser zum Kaufen in Österreich
Häuser zum Kaufen in Österreich
Andere Besucher suchen nach...
- Grundstücke kaufen in 3400 Weidlingbach
- Wohnungen kaufen in 4663 Laakirchen
- Häuser in 7471 Rechnitz
- Wohnungen in 2410 Hainburg an der Donau
- Häuser kaufen in 2432 Schwadorf
- Wohnungen kaufen in 3002 Purkersdorf
- Häuser in 3150 Wilhelmsburg
- Wohnungen kaufen in 3470 Engelmannsbrunn
- Grundstücke kaufen im Bezirk Mattersburg
- Grundstücke kaufen im Bezirk Gmunden