Gewerbeobjekt in bester Innenstadtlage!
Beschreibung
Top Liegenschaft im Zentrum von Wiener Neustadt – Gewerbeobjekt mit vielseitigem Entwicklungspotenzial
Dieses zentral gelegene Zweiobjekthaus mitten im Herzen von Wiener Neustadt bietet eine seltene Gelegenheit für Investoren, die in nachhaltige Vermietungslösungen mit hervorragender Erreichbarkeit und maximalem Entwicklungspotenzial investieren möchten.
Key Facts:
- Lage: Absolute Innenstadtlage, nur wenige Schritte von Fußgängerzone, Hauptplatz, Bahnhof und Nahversorgung entfernt
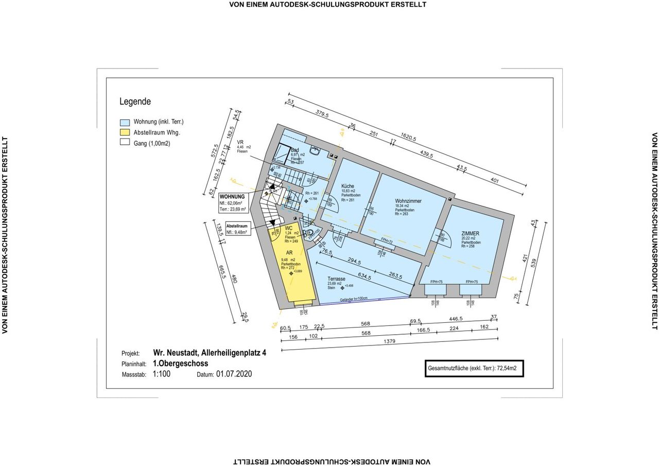
- Fläche: ca. 162,5 m² Nutzfläche auf einem kompakten Grundstück von 123 m²
- Widmung: BKN-H – Bauland-Kerngebiet mit Spezialisierung auf Handelseinrichtungen
- Kaufpreis: EUR 309.000,–
- MRG: Vollausnahme – keine Mietzinsbeschränkungen!
Immobilienstruktur:
- Erdgeschoß: Ehemaliges Geschäftslokal (Juwelier), ideal für Einzelhandel, Dienstleister...
Top Liegenschaft im Zentrum von Wiener Neustadt – Gewerbeobjekt mit vielseitigem Entwicklungspotenzial
Dieses zentral gelegene Zweiobjekthaus mitten im Herzen von Wiener Neustadt bietet eine seltene Gelegenheit für Investoren, die in nachhaltige Vermietungslösungen mit hervorragender Erreichbarkeit und maximalem Entwicklungspotenzial investieren möchten.
Key Facts:
- Lage: Absolute Innenstadtlage, nur wenige Schritte von Fußgängerzone, Hauptplatz, Bahnhof und Nahversorgung entfernt
- Fläche: ca. 162,5 m² Nutzfläche auf einem kompakten Grundstück von 123 m²
- Widmung: BKN-H – Bauland-Kerngebiet mit Spezialisierung auf Handelseinrichtungen
- Kaufpreis: EUR 309.000,–
- MRG: Vollausnahme – keine Mietzinsbeschränkungen!
Immobilienstruktur:
- Erdgeschoß: Ehemaliges Geschäftslokal (Juwelier), ideal für Einzelhandel, Dienstleister oder Gastro-Nutzung
- Obergeschoß: Büroeinheit mit Terrasse oder auch als Wohnung nutzbar – vermietet
- Dachgeschoß: Bereits erschlossen – Ausbaupotenzial für Wohneinheit oder Atelier oder Büroerweiterung
Investoren-Vorteile:
- Flexible Nutzungseinheiten – attraktive Vermietung an unterschiedliche Zielgruppen
- Innenstadtlage mit starker Kundenfrequenz und hervorragender Infrastruktur
- Möglichkeit zur Wertsteigerung durch Dachgeschossausbau
- Geringe laufende Kosten – Beheizung via Infrarotpaneele mit optionalem Gasanschluss
Infrastruktur (fußläufig erreichbar):
- Ärzte, Schulen, Bahnhof, Supermärkte, Gastronomie, Universität und Behörden
- Perfekte Anbindung an Bahn und Autobahn (A2 und S4)
Wir weisen darauf hin, dass zwischen dem Vermittler und dem zu vermittelnden Dritten ein familiäres oder wirtschaftliches Naheverhältnis besteht.
Infrastruktur / Entfernungen
Gesundheit
Arzt <500m
Apotheke <500m
Klinik <1.000m
Krankenhaus <1.000m
Kinder & Schulen
Schule <500m
Kindergarten <500m
Höhere Schule <500m
Universität <3.000m
Nahversorgung
Supermarkt <500m
Bäckerei <500m
Einkaufszentrum <1.500m
Sonstige
Bank <500m
Geldautomat <500m
Post <1.000m
Polizei <500m
Verkehr
Bus <500m
Autobahnanschluss <2.500m
Bahnhof <1.000m
Flughafen <2.500m
Angaben Entfernung Luftlinie / Quelle: OpenStreetMap
Objektdaten
Ausstattung
- Befeuerung mit Gas
- Elektrische Befeuerung
Zustand
- HWB
- 314 kWh/m² pro Jahr
- Klasse HWB
- G
- fGEE
- 3.78
- Klasse fGEE
- F
Flächen
- Wohnfläche
- 148m²
- Nutzfläche
- 162m²
- Grundstücksfläche
- 123m²
Kosten
- Kaufpreis Brutto
- € 309.000,00
Häuser zum Kaufen in Österreich
Häuser zum Kaufen in Österreich
Häuser zum Kaufen in Österreich
Andere Besucher suchen nach...
- Grundstücke kaufen in 3400 Weidlingbach
- Wohnungen kaufen in 4663 Laakirchen
- Häuser in 7471 Rechnitz
- Wohnungen in 2410 Hainburg an der Donau
- Häuser kaufen in 2432 Schwadorf
- Wohnungen kaufen in 3002 Purkersdorf
- Häuser in 3150 Wilhelmsburg
- Wohnungen kaufen in 3470 Engelmannsbrunn
- Grundstücke kaufen im Bezirk Mattersburg
- Grundstücke kaufen im Bezirk Gmunden