Traumhaftes Bauträgergrundstück in Grazer Bestlage mit Stadtblick
-
sofort
Beschreibung
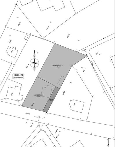
Dieses traumhafte Bauträgergrundstück mit einer Größe von ca. 1.456m² befindet sich an der Waltendorfer Hauptstraße in erhöhter Lage und ist nach Westen ausgerichtet.
Die Topografie ist terrassenförmig angelegt. Im beiliegenden Flächenwidmungsplan ist die Widmung mit "Wohnen Allgemein (WA)" und einer Bebauungsdichte von 0,3–0,6 ausgewiesen.
Weiters entnehmen Sie den Beilagen die Vermessungsurkunde der digitalen Vermessung (Grenzkataster) sowie die Leitungsführungen von Kanal, Gas und Wasser.
Die Stellungnahme der Stadtplanung zur Bebaubarkeit finden Sie in einem gesonderten Dokument.
Ein Altbestand in Form eines Holzblockhauses mit ca. 100 m² Bruttogeschossfläche (BGF) befindet sich im Einfahrtsbereich des Grundstücks.
Eine Erweiterung der Grundstücksfläche beim östlichen Nachbarn...
Dieses traumhafte Bauträgergrundstück mit einer Größe von ca. 1.456m² befindet sich an der Waltendorfer Hauptstraße in erhöhter Lage und ist nach Westen ausgerichtet.
Die Topografie ist terrassenförmig angelegt. Im beiliegenden Flächenwidmungsplan ist die Widmung mit "Wohnen Allgemein (WA)" und einer Bebauungsdichte von 0,3–0,6 ausgewiesen.
Weiters entnehmen Sie den Beilagen die Vermessungsurkunde der digitalen Vermessung (Grenzkataster) sowie die Leitungsführungen von Kanal, Gas und Wasser.
Die Stellungnahme der Stadtplanung zur Bebaubarkeit finden Sie in einem gesonderten Dokument.
Ein Altbestand in Form eines Holzblockhauses mit ca. 100 m² Bruttogeschossfläche (BGF) befindet sich im Einfahrtsbereich des Grundstücks.
Eine Erweiterung der Grundstücksfläche beim östlichen Nachbarn wäre grundsätzlich möglich und ist gesondert zu verhandeln.
Weitere Variante: wir weisen darauf hin, dass die Möglichkeit besteht dieses Grundstück zu teilen, siehe Teilungsplan und Objekt Nummer: 7772/1193
Die besondere Konfiguration dieser attraktiven Liegenschaft, die gute Erschließung sowie der traumhafte Stadtblick machen dieses Objekt für Investoren äußerst interessant.
Noch nichts gefunden? Wir informieren Sie über geeignete Immobilienangebote noch vor allen anderen.
Legen Sie jetzt Ihren individuellen Suchagenten unter folgendem Link an. Wir schicken Ihnen passende Immobilien exklusiv vorab zu.
Suchagent anlegen - https://immventure-real-estate.service.immo/registrieren/de
Wir weisen darauf hin, dass zwischen dem Vermittler und dem zu vermittelnden Dritten ein familiäres oder wirtschaftliches Naheverhältnis besteht.
Der Vermittler ist als Doppelmakler tätig.
Infrastruktur / Entfernungen
Gesundheit
Arzt <500m
Apotheke <500m
Klinik <1.500m
Krankenhaus <2.000m
Kinder & Schulen
Schule <1.000m
Kindergarten <500m
Universität <1.500m
Höhere Schule <2.500m
Nahversorgung
Supermarkt <500m
Bäckerei <500m
Einkaufszentrum <1.000m
Sonstige
Geldautomat <1.000m
Bank <1.000m
Post <1.000m
Polizei <1.000m
Verkehr
Bus <500m
Straßenbahn <1.000m
Autobahnanschluss <4.000m
Bahnhof <3.000m
Flughafen <9.500m
Angaben Entfernung Luftlinie / Quelle: OpenStreetMap
Objektdaten
Dokumente / Links
Zustand
- HWB
- 296.3 kWh/m² pro Jahr
- Klasse HWB
- G
- fGEE
- 3.85
- Klasse fGEE
- F
Flächen
- Grundstücksfläche
- 1.456m²
Kosten
- Kaufpreis Brutto
- € 1.295.000,00
Verwaltung
- Verfügbar ab
- sofort
Grundstücke zum Kaufen in Österreich
Grundstücke zum Kaufen in Österreich
Andere Besucher suchen nach...
- Grundstücke kaufen in 3400 Weidlingbach
- Wohnungen kaufen in 4663 Laakirchen
- Häuser in 7471 Rechnitz
- Wohnungen in 2410 Hainburg an der Donau
- Häuser kaufen in 2432 Schwadorf
- Wohnungen kaufen in 3002 Purkersdorf
- Häuser in 3150 Wilhelmsburg
- Wohnungen kaufen in 3470 Engelmannsbrunn
- Grundstücke kaufen im Bezirk Mattersburg
- Grundstücke kaufen im Bezirk Gmunden