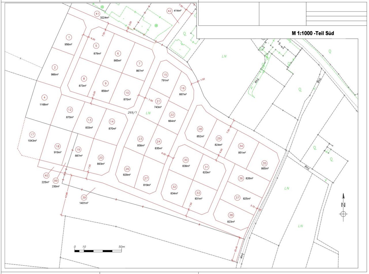
Bauprojekt-Areal in der Seeregion des Südkärntens: 38 Baugrundstücke in zentraler Lage von Eberndorf (Bezirk Völkermarkt)
Beschreibung
Wohnbau-Potenzial im Herzen des Jauntals: Diese außergewöhnliche Möglichkeit in zentraler Lage der Marktgemeinde Eberndorf bietet auf 38 Grundstücken bis zu 5 oder sogar 7 Parzellen Raum für maßgeschneiderte visionäre Projektentwicklungen für Bauträger, Projektentwickler und Investoren.
Die variable Grundstücksaufteilung garantiert maximale Flexibilität bei der Umsetzung skalierbarer Wohnbauprojekte, sei es in Form von modernen Doppelhaussiedlungen oder verdichteten Wohneinheiten.
Die Grundstücksadresse ist eine der zentralen Durchzugs- und Versorgungsachsen von der Gemeinde Eberndorf: maximale Sichtbarkeit auf der einen Seite sowie hervorragende Erreichbarkeit auf der anderen Seite.
- Investment-Highlights Und Kennzahlen
Projektgröße: Ca. 35.000 m2 Gesamtareal...
Wohnbau-Potenzial im Herzen des Jauntals: Diese außergewöhnliche Möglichkeit in zentraler Lage der Marktgemeinde Eberndorf bietet auf 38 Grundstücken bis zu 5 oder sogar 7 Parzellen Raum für maßgeschneiderte visionäre Projektentwicklungen für Bauträger, Projektentwickler und Investoren.
Die variable Grundstücksaufteilung garantiert maximale Flexibilität bei der Umsetzung skalierbarer Wohnbauprojekte, sei es in Form von modernen Doppelhaussiedlungen oder verdichteten Wohneinheiten.
Die Grundstücksadresse ist eine der zentralen Durchzugs- und Versorgungsachsen von der Gemeinde Eberndorf: maximale Sichtbarkeit auf der einen Seite sowie hervorragende Erreichbarkeit auf der anderen Seite.
- Investment-Highlights Und Kennzahlen
Projektgröße: Ca. 35.000 m2 Gesamtareal mit 38 Baugrundstücken, die flexibel kombinierbar sind und eine effiziente Umsetzung in mehreren Bauabschnitten ermöglichen.
Nutzungskonzept: Hervorragend geeignet für Wohnanlagen, Reihenhäuser oder Doppelhaus-Projekte.
Erwerbsmöglichkeiten: Verkauf von Parzellen (z. B. 2 bis 8 Grundstücke) möglich – ideal für verschiedene Bauabschnitte.
Widmung: Bauland-Wohngebiet (Details zur Baudichte (GFZ) und den Bebauungsrichtlinien auf Anfrage).
Marktsituation: Hohe Nachfrage nach modernem, leistbarem Wohnraum in der Region Völkermarkt.
- Strategische Lage und Infrastruktur
Eberndorf fungiert als wichtiger Wohnknotenpunkt mit exzellenter Anbindung:
Nahversorgung: Erstklassige Full-Service-Infrastruktur mit HOFER, SPAR, BILLA und Lidl, Apotheke, Bank, Bäckerei, Arztpraxis in unmittelbarer, fußläufiger Erreichbarkeit. Die Lage ist für die Käufer sehr attraktiv, da tägliche Besorgungen ohne lange Wege möglich sind.
Bildung: Kindergarten, Krippe und Schulen sind ebenso fußläufig oder in wenigen Minuten erreichbar – ein Hauptargument für die spätere Vermarktung an Familien. Sogar sehr familienfreundliche Lage, ideal für junge Familien – eine wichtige Zielgruppe für Wohnanlagen.
Anbindung: Nur ca. 8–10 Minuten zur Bezirkshauptstadt Völkermarkt; optimale Pendler-Lage Richtung Klagenfurt und Graz über die A2.
- Freizeit, Natur und Erholung
Seenregion: Bade- und Freizeitregion Südkärnten mit Gösselsdorfer See in nur ca. 5 – 7 Autominuten erreichbar, Klopeiner See (einer der wärmsten Badeseen Europas) sowie Turnersee sind im direkten Einzugsgebiet und max. in ca. 12 - 15 Minuten erreichbar.
Sablatnigmoor: Das renommierte Naturschutzgebiet liegt nur ca. 10 Minuten entfernt und bietet einzigartige Erholungsräume.
Outdoor: Rad- und Wanderwegenetz Jauntal sowie Nähe zum Skigebiet Petzen (in ca. 25 – 30 Minuten erreichbar).
Zielgruppe: Diese Vielfalt bzw. Kombination an Aktivitäten macht den Standort besonders attraktiv für Familien, Eigennutzer und Ruhesuchende.
- Ihre Vorteile als Projektentwickler oder Bauträger
Lage: Nachgefragte Wohnlage in Südkärnten mit hoher Lebensqualität, guter regionaler Anbindung.
Geringes Vermarktungsrisiko: Geringes Vermarktungsrisiko durch breite Zielgruppe, familienfreundliche Umgebung, hohe Nachfrage nach leistbarem Wohnraum und die möglichen Wohnformen.
Erschließungsvorteil: Gewachsenes Umfeld mit der bestehenden sehr guten Infrastruktur und Nahversorgung.
Skalierbarkeit: Flexible Projektgrößen durch variable Parzellierung – ideal für schrittweise Entwicklung und individuelle Projektstrategien.
Diese Baugrundstücke in Eberndorf bieten eine seltene Gelegenheit, in einer der lebenswertesten Regionen Kärntens Wohnprojekte mit Zukunft zu realisieren.
Ob Einfamilienhaus, Doppelhaus oder Wohnanlage – die Lage, Infrastruktur und Flexibilität der Parzellierung schaffen optimale Voraussetzungen für nachhaltige und erfolgreiche Bauvorhaben.
Haben wir Ihr Interesse geweckt?
Für detaillierte Unterlagen (Lagepläne, Widmungsbestätigungen, Teilungsvorschläge) stehen wir Ihnen gerne für ein persönliches Gespräch oder einen Besichtigungstermin vor Ort zur Verfügung.
Noch nichts gefunden? Wir informieren Sie über geeignete Immobilienangebote noch vor allen anderen.
Legen Sie jetzt Ihren individuellen Suchagenten unter folgendem Link an. Wir schicken Ihnen passende Immobilien exklusiv vorab zu.
Suchagent anlegen - https://reinhard-leutgeb.service.immo/registrieren/de
Infrastruktur / Entfernungen
Gesundheit
Arzt <6.000m
Apotheke <500m
Kinder & Schulen
Schule <500m
Kindergarten <6.000m
Nahversorgung
Supermarkt <500m
Bäckerei <4.500m
Sonstige
Bank <500m
Geldautomat <500m
Post <500m
Polizei <500m
Verkehr
Bus <500m
Bahnhof <4.000m
Autobahnanschluss <9.500m
Angaben Entfernung Luftlinie / Quelle: OpenStreetMap
Objektdaten
Flächen
- Grundstücksfläche
- 35.000m²
Kosten
Grundstücke zum Kaufen im Umkreis von Eberndorf
Grundstücke zum Kaufen im Umkreis von Eberndorf
Grundstücke zum Kaufen in Österreich
Andere Besucher suchen nach...
- Grundstücke kaufen in 3400 Weidlingbach
- Wohnungen kaufen in 4663 Laakirchen
- Häuser in 7471 Rechnitz
- Wohnungen in 2410 Hainburg an der Donau
- Häuser kaufen in 2432 Schwadorf
- Wohnungen kaufen in 3002 Purkersdorf
- Häuser in 3150 Wilhelmsburg
- Wohnungen kaufen in 3470 Engelmannsbrunn
- Grundstücke kaufen im Bezirk Mattersburg
- Grundstücke kaufen im Bezirk Gmunden