Baugrundstück in Altenburg – ruhige Wohnlage nahe Horn im Waldviertel
Beschreibung
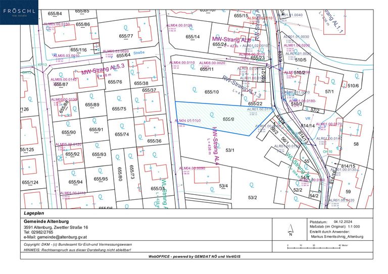
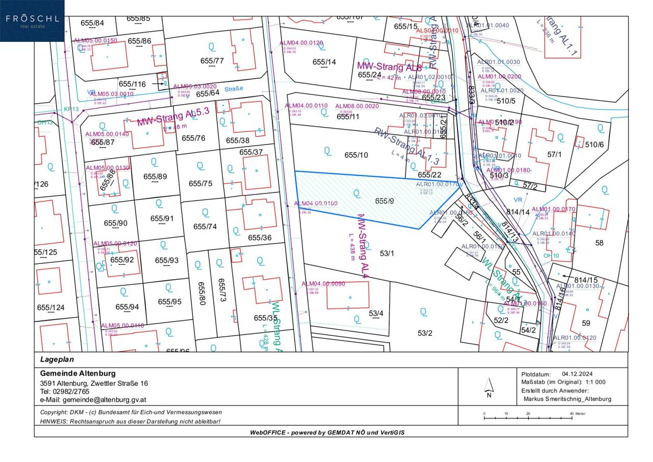
Das Grundstück ist derzeit unbebaut und bietet damit die Möglichkeit, ein Eigenheim ganz nach den eigenen Vorstellungen zu errichten. Die wesentlichen Versorgungsleitungen – Strom, Wasser und Kanal – liegen bereits an der Grundstücksgrenze an, ein Kanalanschluss ist zudem direkt auf dem Grundstück vorhanden. Die Gemeinde Altenburg schreibt Kanaleinmündungs- und Benützungsgebühren erst nach Fertigstellung des Wohnhauses vor – zu diesem Zeitpunkt also noch kein Thema.
Das Grundstück ist derzeit noch nicht aufgeschlossen; die Aufschließungsgebühr wird im Zuge der Baureifmachung fällig und ist mit der Gemeinde abzustimmen.
Die Widmung Bauland Agrar (BA) ermöglicht die Errichtung eines Einfamilienhauses und ist damit ideal auf...
Das Grundstück ist derzeit unbebaut und bietet damit die Möglichkeit, ein Eigenheim ganz nach den eigenen Vorstellungen zu errichten. Die wesentlichen Versorgungsleitungen – Strom, Wasser und Kanal – liegen bereits an der Grundstücksgrenze an, ein Kanalanschluss ist zudem direkt auf dem Grundstück vorhanden. Die Gemeinde Altenburg schreibt Kanaleinmündungs- und Benützungsgebühren erst nach Fertigstellung des Wohnhauses vor – zu diesem Zeitpunkt also noch kein Thema.
Das Grundstück ist derzeit noch nicht aufgeschlossen; die Aufschließungsgebühr wird im Zuge der Baureifmachung fällig und ist mit der Gemeinde abzustimmen.
Die Widmung Bauland Agrar (BA) ermöglicht die Errichtung eines Einfamilienhauses und ist damit ideal auf die Bedürfnisse von Privatpersonen zugeschnitten, die ein ruhiges Wohngrundstück im ländlichen Umfeld suchen.
Der Bewuchs auf dem Grundstück ist derzeit noch kräftig ausgeprägt – eine gute Gelegenheit, das Gelände im Zuge der Bauvorbereitungen nach eigenen Wünschen zu gestalten.
Vereinbaren Sie noch heute einen Besichtigungstermin und lassen Sie sich von dieser schönen Wohnung überzeugen.
Wir freuen uns darauf, Sie persönlich zu begrüßen. Bei weiteren Fragen stehen wir Ihnen jederzeit unter +43 664 1838 268 zur Verfügung oder senden Sie uns eine E-Mail an christian@froeschl.estate.
Besuchen Sie www.froeschl.estate und entdecken Sie weitere 360º virtuelle Rundgänge sowie die neuesten Objekte! Gerne unternehmen wir auch gemeinsam mit Ihnen geführte virtuelle Besichtigungen!
Unsere Angaben basieren auf den Informationen des Eigentümers; Änderungen und Irrtümer sind vorbehalten.
Sie möchten den Wert einer Immobilie wissen? Bewertungen Professionell und präzise
FRÖSCHL real estate ermittelt den Verkehrswert Ihrer Liegenschaft. Das schriftliche Bewertungsgutachten ist ein umfangreiches Dokument aus dem dieser hervorgeht. Wir ermitteln abhängig von Ihrem Objekt über den Vergleichswert, den Sachwert oder den Ertragswert, unter Beachtung aller relevanten Unterlagen, den aktuellen Marktwert ihrer Immobilie. Gerne übernehmen wir Bewertungen auch aus anderen Anlässen wie innerfamiliären Angelegenheiten, Erbschaften oder steuerlichen Anforderungen und dergleichen.
Der Vermittler ist als Doppelmakler tätig.
Infrastruktur / Entfernungen
Gesundheit
Arzt <5.000m
Klinik <6.000m
Apotheke <5.000m
Krankenhaus <5.500m
Kinder & Schulen
Schule <4.000m
Kindergarten <5.000m
Höhere Schule <8.500m
Nahversorgung
Supermarkt <4.000m
Bäckerei <5.500m
Einkaufszentrum <4.000m
Sonstige
Bank <4.000m
Geldautomat <5.000m
Polizei <4.500m
Post <5.000m
Verkehr
Bus <500m
Bahnhof <4.500m
Angaben Entfernung Luftlinie / Quelle: OpenStreetMap
Objektdaten
Flächen
- Grundstücksfläche
- 1.329m²
Kosten
- Kaufpreis Brutto
- € 86.000,00
Grundstücke zum Kaufen im Umkreis von Altenburg
Grundstücke zum Kaufen im Umkreis von Altenburg
Grundstücke zum Kaufen in Österreich
Andere Besucher suchen nach...
- Grundstücke kaufen in 3400 Weidlingbach
- Wohnungen kaufen in 4663 Laakirchen
- Häuser in 7471 Rechnitz
- Wohnungen in 2410 Hainburg an der Donau
- Häuser kaufen in 2432 Schwadorf
- Wohnungen kaufen in 3002 Purkersdorf
- Häuser in 3150 Wilhelmsburg
- Wohnungen kaufen in 3470 Engelmannsbrunn
- Grundstücke kaufen im Bezirk Mattersburg
- Grundstücke kaufen im Bezirk Gmunden