ProjektMACHes!
€ 598.000
2380 Perchtoldsdorf
Beschreibung
"Projekt MACH es" Genau zwischen Zentrum und Bahnhof liegt das ca. 754m² ebene Grundstück mit Abbruchhaus. Die Widmung straßenseitig 60%g I II, und hofseitig 25% o,K I II jeweils BK- 6WE Verkauft wird ein Baubewilligtes Projekt mit 5 Wohneinheiten. Im hinteren Bereich sind 2 Einfamilienhäuser mit je ca. 91m² Wohnfläche auf 4 Zimmer, Garten und Dachterrasse und straßenseitig 3 Reihenhäuser zwischen 68 und 73 m² Wfl. jeweils mit Garten. Zusätzlich sind die vorgeschriebenen 7 Parkplätze geplant. Für die Planung- und Bewilligungsaufwandkosten werden €100.000.- zusätzlich in Rechnung gestellt. Der Abbruch und die Neuvermessung sind nicht im Preis inkludiert. Richtpreis: € 698.000,--...
"Projekt MACH es"
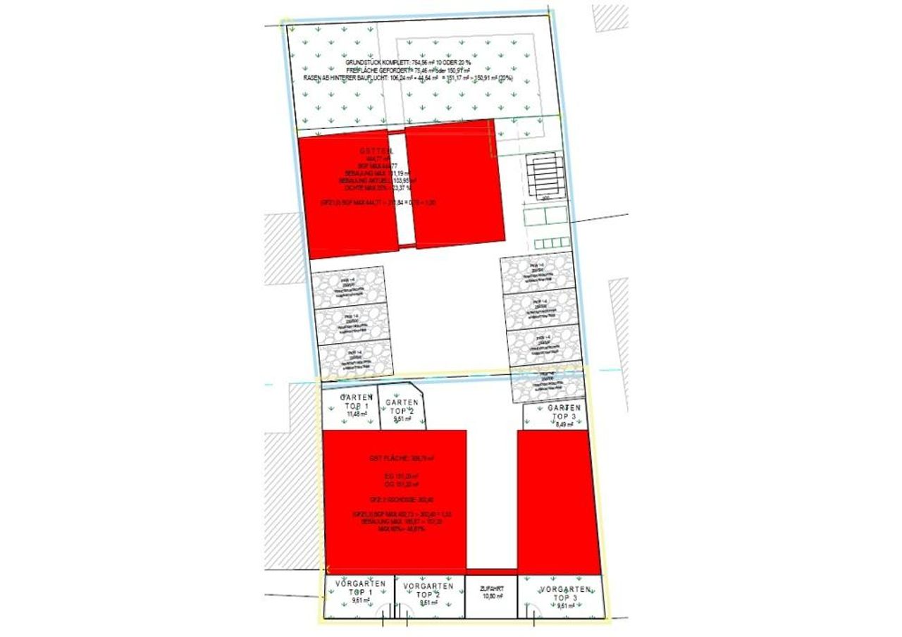
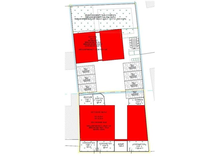
Genau zwischen Zentrum und Bahnhof liegt das ca. 754m² ebene Grundstück mit Abbruchhaus.
Die Widmung straßenseitig 60%g I II, und hofseitig 25% o,K I II jeweils BK- 6WE
Verkauft wird ein Baubewilligtes Projekt mit 5 Wohneinheiten.
Im hinteren Bereich sind 2 Einfamilienhäuser mit je ca. 91m² Wohnfläche auf 4 Zimmer, Garten und Dachterrasse und straßenseitig 3 Reihenhäuser zwischen 68 und 73 m² Wfl. jeweils mit Garten.
Zusätzlich sind die vorgeschriebenen 7 Parkplätze geplant.
Für die Planung- und Bewilligungsaufwandkosten werden €100.000.- zusätzlich in Rechnung gestellt.
Der Abbruch und die Neuvermessung sind nicht im Preis inkludiert.
Richtpreis: € 698.000,-- *)
*) Beim Preis handelt es sich um einen Richtpreis, der sich sowohl nach unten als auch nach oben verändern kann! Vorbehaltlich Annahme durch den Abgeber!
Der Vermittler ist als Doppelmakler tätig!
Wir weisen auf ein wirtschaftliches Naheverhältnis hin!
Genau zwischen Zentrum und Bahnhof liegt das ca. 754m² ebene Grundstück mit Abbruchhaus.
Die Widmung straßenseitig 60%g I II, und hofseitig 25% o,K I II jeweils BK- 6WE
Verkauft wird ein Baubewilligtes Projekt mit 5 Wohneinheiten.
Im hinteren Bereich sind 2 Einfamilienhäuser mit je ca. 91m² Wohnfläche auf 4 Zimmer, Garten und Dachterrasse und straßenseitig 3 Reihenhäuser zwischen 68 und 73 m² Wfl. jeweils mit Garten.
Zusätzlich sind die vorgeschriebenen 7 Parkplätze geplant.
Für die Planung- und Bewilligungsaufwandkosten werden €100.000.- zusätzlich in Rechnung gestellt.
Der Abbruch und die Neuvermessung sind nicht im Preis inkludiert.
Richtpreis: € 698.000,-- *)
*) Beim Preis handelt es sich um einen Richtpreis, der sich sowohl nach unten als auch nach oben verändern kann! Vorbehaltlich Annahme durch den Abgeber!
Der Vermittler ist als Doppelmakler tätig!
Wir weisen auf ein wirtschaftliches Naheverhältnis hin!
Grundstücke zum Kaufen in Österreich
Grundstücke zum Kaufen in Österreich
Grundstücke zum Kaufen in Österreich
Andere Besucher suchen nach...
- Grundstücke kaufen in 3400 Weidlingbach
- Wohnungen kaufen in 4663 Laakirchen
- Häuser in 7471 Rechnitz
- Wohnungen in 2410 Hainburg an der Donau
- Häuser kaufen in 2432 Schwadorf
- Wohnungen kaufen in 3002 Purkersdorf
- Häuser in 3150 Wilhelmsburg
- Wohnungen kaufen in 3470 Engelmannsbrunn
- Grundstücke kaufen im Bezirk Mattersburg
- Grundstücke kaufen im Bezirk Gmunden