Großflächiges Baugrundstück für Wohnbau unweit von Salzburg !!!
Beschreibung
Lage und Nutzung: - Großflächiges Baugrundstück für Wohnbau - Tolle Lage unweit von Salzburg, mit sehr guten Anbindungen. Ziel: Erhaltung der Siedlungsstruktur und harmonische Eingliederung in das Orts- und Landschaftsbild
Baurechtliche Rahmenbedingungen: - Salzburger Wohnbauförderung wäre eventuell möglich. - Bauliche Ausnutzbarkeit: GRZ 0,25 - Grundflächenzahl (TGB) 01 und 02 - Traufhöhe (TH): 6,50 m - Firsthöhe (FH): 9,50 m - Bauweise: offene, freistehende Bauweise - Maximal 2 Wohneinheiten pro Bauplatz
Pro Wohneinheit wird eine Stellplatzanzahl von 2 KFZ -Stellplätzen verordnet.
Weitere Details: etwas höhere und dichtere Bebauung. TGB 03: Max. Traufhöhe 7,50 m, Firsthöhe 10,0 m
...Lage und Nutzung: - Großflächiges Baugrundstück für Wohnbau - Tolle Lage unweit von Salzburg, mit sehr guten Anbindungen.
Ziel: Erhaltung der Siedlungsstruktur und harmonische Eingliederung in das Orts- und Landschaftsbild
Baurechtliche Rahmenbedingungen: - Salzburger Wohnbauförderung wäre eventuell möglich.
- Bauliche Ausnutzbarkeit: GRZ 0,25
- Grundflächenzahl (TGB) 01 und 02
- Traufhöhe (TH): 6,50 m
- Firsthöhe (FH): 9,50 m
- Bauweise: offene, freistehende Bauweise
- Maximal 2 Wohneinheiten pro Bauplatz
Pro Wohneinheit wird eine Stellplatzanzahl von 2 KFZ -Stellplätzen verordnet.
Weitere Details: etwas höhere und dichtere Bebauung.
TGB 03: Max. Traufhöhe 7,50 m, Firsthöhe 10,0 m
In diesem Teilgebiet sind mindestens zwei voneinander getrennte, separate und selbständige Baukörper zu errichten.
Die Verkäufer dieser Liegenschaft haben den Wunsch ( den Plan) einen Baukörper ( Wohnblock mit ca. 400 m²) auf dem verbleibenden Grundstück in Auftrag zu geben.
Dadurch wäre eventuell ein sofortiges Gegengeschäft für dieses Wohnprojekt gegeben.
Verordnet ist eine offene Bauweise - freistehend (TGB 01 und 03) bzw. offene Bauweise -freistehend oder gekuppelt (TGB 02). Dazwischen in TGB 02 ist auch eine gekuppelte Bauweise im Sinne von Doppelhäuser möglich. Als Dachform werden Satteldach oder Walmdach festgelegt. Es soll damit eine bestehende Wohn- und Siedlungsstruktur fortgeführt werden.
- Baufluchtlinien: 5,00 m und 4,00 m
Wenn Sie konkrete Planungsschritte oder eine Bebauungskonzeption benötigen, kann ich Ihnen gerne bei der Klärung weiterer Details behilflich sein.
Dieses Baugrundstück wäre von Interesse für Bauträger, die ein Bauprojekt planen und verwirklichen möchten.
Wohnungen sowie Doppelhäuser wären möglich zu realisieren.
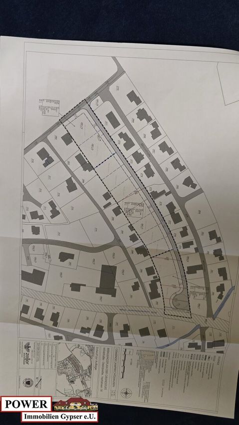
Die Straßenfläche in der Größe von ca. 1768 m² Preis p/m² € 130.-
Die Baugrundfläche ca. 6480 m² Preis p/m² € 380.-
( Tatsächliche Flächen werden im Rahmen der Vermessung /Parzellierung festgestellt).
Technische Infrastruktur:
Trinkwasser: Ortswasserleitung, Schmutzwasser: Kanal, Dach -Oberflächenwässer: Einleitung in den Haumonigerbach, Energieversorgung: Leitungsnetz Salzburger AG.
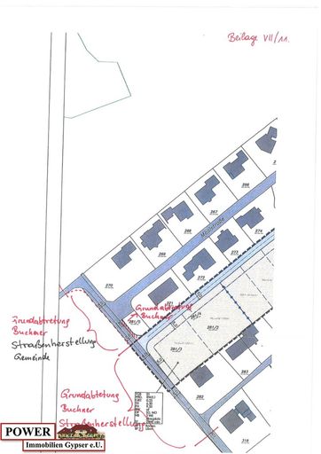
Es wird der Bebauungsplan von der GEMEINDE Lamprechtshausen mit geschickt !!!!
Salzburg ist in Kürze leicht zu erreichen über sehr gute Verkehrsverbindungen.
Öffentlicher Verkehrsversorgung: erfolgt über den Lokalbahnhof Lamprechtshausen sowie über die öffentliche Bushaltestelle.
Die Entfernung beträgt ca. 700 m Fußweg.
Noch nichts gefunden? Wir informieren Sie über geeignete Immobilienangebote noch vor allen anderen.
Legen Sie jetzt Ihren individuellen Suchagenten unter folgendem Link an. Wir schicken Ihnen passende Immobilien exklusiv vorab zu.
Suchagent anlegen - https://power-immobilien-gypser.service.immo/registrieren/de
Der Vermittler ist als Doppelmakler tätig.
Infrastruktur / Entfernungen
Gesundheit
Arzt <3.000m
Apotheke <500m
Klinik <5.500m
Krankenhaus <6.500m
Kinder & Schulen
Schule <3.000m
Kindergarten <500m
Höhere Schule <7.000m
Nahversorgung
Supermarkt <500m
Bäckerei <500m
Sonstige
Geldautomat <500m
Bank <500m
Post <500m
Polizei <500m
Verkehr
Bus <500m
Bahnhof <500m
Angaben Entfernung Luftlinie / Quelle: OpenStreetMap
Objektdaten
Dokumente / Links
Flächen
- Gesamtfläche
- 8.248m²
- Grundstücksfläche
- 6.480m²
Kosten
- Kaufpreis Brutto
- € 2.692.240,00
Grundstücke zum Kaufen im Umkreis von Lamprechtshausen
Grundstücke zum Kaufen im Umkreis von Lamprechtshausen
Grundstücke zum Kaufen in Österreich
Andere Besucher suchen nach...
- Grundstücke kaufen in 3400 Weidlingbach
- Wohnungen kaufen in 4663 Laakirchen
- Häuser in 7471 Rechnitz
- Wohnungen in 2410 Hainburg an der Donau
- Häuser kaufen in 2432 Schwadorf
- Wohnungen kaufen in 3002 Purkersdorf
- Häuser in 3150 Wilhelmsburg
- Wohnungen kaufen in 3470 Engelmannsbrunn
- Grundstücke kaufen im Bezirk Mattersburg
- Grundstücke kaufen im Bezirk Gmunden