Grund genug!
€ 234.000
3433 Königstetten
Beschreibung
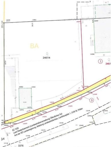
Dieses Grundstück befindet sich in der Marktgemeinde Königstetten und bietet auf ca. 709m² ausreichend Platz, um Ihre persönlichen Vorstellungen von einem Traumhaus zu verwirklichen. Egal ob Sie eine moderne Villa oder ein gemütliches Einfamilienhaus bauen möchten, hier sind Ihnen wenig Grenzen gesetzt. Diese Immobilie bietet Ihnen die perfekte Gelegenheit, Ihren Traum vom Eigenheim zu verwirklichen. Widmung: - Bauland Agrar - Altortgebiet Bebaubarkeit: - 30 | o,k | I (30% | offen oder gekuppelt | Bauklasse I (bis 5m)) - 4m Vorgartentiefe - Max. bebaubare Fläche: ca. 212 m² - Wohnnutzfläche bis ca. 225 m² erreichbar (EG und OG) Lage und...
Dieses Grundstück befindet sich in der Marktgemeinde Königstetten und bietet auf ca. 709m² ausreichend Platz, um Ihre persönlichen Vorstellungen von einem Traumhaus zu verwirklichen. Egal ob Sie eine moderne Villa oder ein gemütliches Einfamilienhaus bauen möchten, hier sind Ihnen wenig Grenzen gesetzt. Diese Immobilie bietet Ihnen die perfekte Gelegenheit, Ihren Traum vom Eigenheim zu verwirklichen.
Widmung:
- Bauland Agrar - Altortgebiet
Bebaubarkeit:
- 30 | o,k | I (30% | offen oder gekuppelt | Bauklasse I (bis 5m))
- 4m Vorgartentiefe
- Max. bebaubare Fläche: ca. 212 m²
- Wohnnutzfläche bis ca. 225 m² erreichbar (EG und OG)
Lage und Infrastruktur.
Das Grundstück befindet sich in 3433 Königstetten, einer beliebten Wohngemeinde im Tullnerfeld. Die Lage ist angenehm und bietet gleichzeitig eine sehr gute Anbindung an die umliegenden Ortschaften (ca. 5min nach Tulln) und nach Wien.
In Königstetten profitieren Sie von guter Nahversorgung, Schule, Kindergarten, medizinischer Betreuung sowie vielfältigen Freizeitmöglichkeiten. Busverbindungen sowie die Nähe zu Tulln sorgen für eine komfortable Verkehrsanbindung.
Der Vermittler ist als Doppelmakler tätig.
Widmung:
- Bauland Agrar - Altortgebiet
Bebaubarkeit:
- 30 | o,k | I (30% | offen oder gekuppelt | Bauklasse I (bis 5m))
- 4m Vorgartentiefe
- Max. bebaubare Fläche: ca. 212 m²
- Wohnnutzfläche bis ca. 225 m² erreichbar (EG und OG)
Lage und Infrastruktur.
Das Grundstück befindet sich in 3433 Königstetten, einer beliebten Wohngemeinde im Tullnerfeld. Die Lage ist angenehm und bietet gleichzeitig eine sehr gute Anbindung an die umliegenden Ortschaften (ca. 5min nach Tulln) und nach Wien.
In Königstetten profitieren Sie von guter Nahversorgung, Schule, Kindergarten, medizinischer Betreuung sowie vielfältigen Freizeitmöglichkeiten. Busverbindungen sowie die Nähe zu Tulln sorgen für eine komfortable Verkehrsanbindung.
Der Vermittler ist als Doppelmakler tätig.
Objektdaten
Flächen
- Grundstücksfläche
- 700m²
Kosten
- Kaufpreis
- € 234.000,00
Grundstücke zum Kaufen im Umkreis von Königstetten
Grundstücke zum Kaufen in Österreich
Andere Besucher suchen nach...
- Immobilien kaufen in 2601 Sollenau
- Immobilien in 4951 Polling im Innkreis, Oberösterreich
- Immobilien in 4742 Pram, Oberösterreich kaufen oder mieten
- Häuser kaufen in 2340 Mödling, Niederösterreich
- Häuser kaufen in 9421 Gemmersdorf, Kärnten
- Wohnungen / Eigentumswohnungen kaufen in 9431 St. Stefan, Kärnten
- Häuser kaufen in Bruck an der Leitha, Niederösterreich
- Immobilien mieten in Krems an der Donau, Niederösterreich
- Häuser zum Kaufen im Bezirk St. Pölten Land, Niederösterreich
- Büro / Praxen mieten in Rohrbach, Oberösterreich