Besonderes Baugrundstück in Uttissenbach bei Zwettl - 4.519 ² Grundstücksfläche im Grünen
Beschreibung
Das Grundstück befindet sich am Ortsrand und bietet ausreichend Platz für den Bau eines großzügigen Einfamilien- oder Mehrfamilienhauses. Darüber hinaus besteht Potenzial für die Umsetzung eines Reihenhaus- oder Doppelhausprojekts sowie eines Tiny House Projekts.
Ein ausgearbeiteter Projektplan (Bebauungsstudie) für ein WOLF Fertigteilhaus (Bungalow) mit einer Nutzfläche von etwa 130 m² liegt bereits vor. Das geplante Objekt sieht außerdem eine Garage mit etwa 47 m² vor. Bei Interesse stellen wir Ihnen gerne diesen Einreichplan separat zur Verfügung.
- Die Liegenschaft hat laut Grundbuch eine Gesamtgröße von 4.519 m2 und liegt im Grenzkataster;
- Flächenwidmung: 1.738 m² liegen in der Flächenwidmung Bauland...
Das Grundstück befindet sich am Ortsrand und bietet ausreichend Platz für den Bau eines großzügigen Einfamilien- oder Mehrfamilienhauses. Darüber hinaus besteht Potenzial für die Umsetzung eines Reihenhaus- oder Doppelhausprojekts sowie eines Tiny House Projekts.
Ein ausgearbeiteter Projektplan (Bebauungsstudie) für ein WOLF Fertigteilhaus (Bungalow) mit einer Nutzfläche von etwa 130 m² liegt bereits vor. Das geplante Objekt sieht außerdem eine Garage mit etwa 47 m² vor. Bei Interesse stellen wir Ihnen gerne diesen Einreichplan separat zur Verfügung.
- Die Liegenschaft hat laut Grundbuch eine Gesamtgröße von 4.519 m2 und liegt im Grenzkataster;
- Flächenwidmung: 1.738 m² liegen in der Flächenwidmung Bauland Agrar , im Grünland liegen 2.781 m², die sich als schöner großer Garten gestalten lassen;
- Bebauungsplan: lt. NÖ Bauordnung und behördlicher Genehmigung;
- Bebauungsdichte: lt. NÖ Bauordnung und behördlicher Genehmigung;
- Das Grundstück ist nicht aufgeschlossen, die Aufschließungsabgabe beträgt € 23.450,25 (Einheitssatz = 450 €/m², Bauklassenkoeffizient = 1,25);
- Die Vorbereitungen für den Anschluss an die Ortswasserleitung sind abgeschlossen.
- Der öffentliche Kanal liegt in der Verantwortung einer Abwassergenossenschaft;
- Der Kanal wurde bereits verlegt, jedoch stehen noch ausstehende Anschlusskosten an;
- Die Kosten für den Stromanschluss (EVN) wurden bereits beglichen;
- Gemäß Informationen von der Eigentümerseite ist der Anschluss für Kabel-TV und Internet vorbereitet und liegen an der Straße;
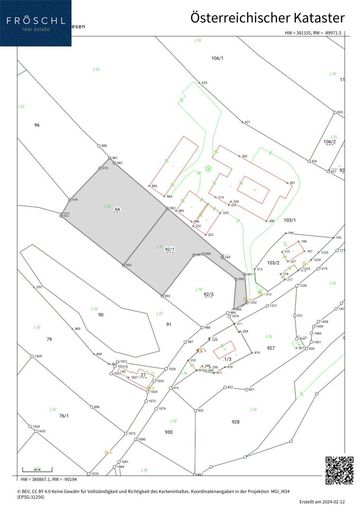
- Das Luftbild zeigt noch die Grenzen vor der Grundstücksteilung, bitte beachten Sie die Katastermappe.
Für weitere Fragen und zur Vereinbarung eines Besichtigungstermins stehe ich Ihnen jederzeit zur Verfügung unter +43 664 1838 268 oder senden Sie mir eine E-Mail: christian@froeschl.estate
Besuchen Sie www.froeschl.estate und finden Sie weitere Rundgänge und die neusten Objekte!
Nebenkosten beim Erwerb dieser Immobilie:
3,50 % Grunderwerbsteuer
1,10 % Grundbucheintragungsgebühr
Vertragserrichtungskosten/Treuhändische Abwicklung (Notar oder Rechtsanwalt) Kosten Unterschriftenbeglaubigung und Barauslagen Kaufvertrag
3,00 % zzgl. 20,00 % USt. (ges. 3,60 %) Honorar für die erfolgreiche Vermittlung
Unsere Angaben beziehen sich auf die Auskünfte des Eigentümers, daher Änderungen und Irrtümer vorbehalten.
Wir weisen darauf hin, dass zwischen dem Vermittler und dem zu vermittelnden Dritten ein familiäres oder wirtschaftliches Naheverhältnis besteht.
Der Vermittler ist als Doppelmakler tätig.
Infrastruktur / Entfernungen
Gesundheit
Arzt <4.000m
Krankenhaus <5.500m
Klinik <5.500m
Apotheke <6.000m
Kinder & Schulen
Schule <5.500m
Kindergarten <6.000m
Höhere Schule <6.500m
Nahversorgung
Supermarkt <4.500m
Bäckerei <3.000m
Einkaufszentrum <6.500m
Sonstige
Bank <6.000m
Post <6.000m
Geldautomat <6.000m
Polizei <6.500m
Verkehr
Bus <500m
Autobahnanschluss <3.500m
Angaben Entfernung Luftlinie / Quelle: OpenStreetMap
Objektdaten
Flächen
- Grundstücksfläche
- 4.519m²
Kosten
- Kaufpreis Brutto
- € 89.000,00
Verwaltung
- Verfügbar ab
- nach Vereinbarung
Grundstücke zum Kaufen im Umkreis von Zwettl-Niederösterreich
Grundstücke zum Kaufen im Umkreis von Zwettl-Niederösterreich
Grundstücke zum Kaufen in Österreich
Andere Besucher suchen nach...
- Grundstücke kaufen in 3400 Weidlingbach
- Wohnungen kaufen in 4663 Laakirchen
- Häuser in 7471 Rechnitz
- Wohnungen in 2410 Hainburg an der Donau
- Häuser kaufen in 2432 Schwadorf
- Wohnungen kaufen in 3002 Purkersdorf
- Häuser in 3150 Wilhelmsburg
- Wohnungen kaufen in 3470 Engelmannsbrunn
- Grundstücke kaufen im Bezirk Mattersburg
- Grundstücke kaufen im Bezirk Gmunden