Vielseitiges Baugrundstück in Top-Lage von Fußach - auch teilbar
Beschreibung
Grundstücksinfo:
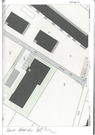
- GST-Nr.: 1602/2 --> Größe = 2223 m²
- GST-Nr.: 1602/1 --> Größe = 376 m² je ein Drittel (ca. 125 m²) als Zufahrt im Kaufpreis inkludiert
Das Grundstück kann nach Wunsch auch geteilt werden.
Wir weisen auf eine Dienstbarkeit von ca. 16 m², ausschließlich dem Wenderadius des Müllwagens im unteren, rechten Eck des Grundstücks hin (siehe Plan). Bei Interesse reichen wir Ihnen gerne weitere Unterlagen diesbezüglich zu.
Laut Auskunft des Bauamtes der Gemeinde Fußach ist keine Baunutzzahl verordnet. Derzeit befindet sich auf Verordnungsweg eine MGZ von 2 und eine HGZ von 3.
...
Grundstücksinfo:
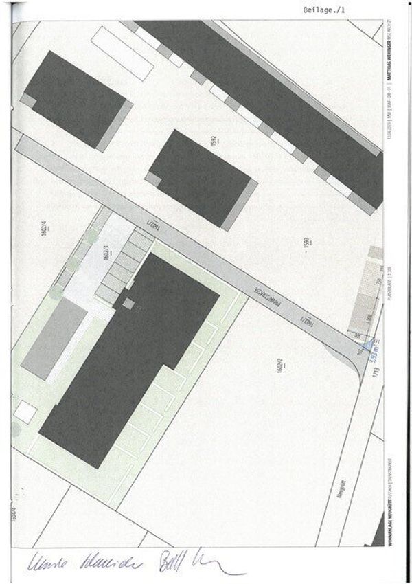
- GST-Nr.: 1602/2 --> Größe = 2223 m²
- GST-Nr.: 1602/1 --> Größe = 376 m² je ein Drittel (ca. 125 m²) als Zufahrt im Kaufpreis inkludiert
Das Grundstück kann nach Wunsch auch geteilt werden.
Wir weisen auf eine Dienstbarkeit von ca. 16 m², ausschließlich dem Wenderadius des Müllwagens im unteren, rechten Eck des Grundstücks hin (siehe Plan). Bei Interesse reichen wir Ihnen gerne weitere Unterlagen diesbezüglich zu.
Laut Auskunft des Bauamtes der Gemeinde Fußach ist keine Baunutzzahl verordnet. Derzeit befindet sich auf Verordnungsweg eine MGZ von 2 und eine HGZ von 3.
Überzeugt? Dann zögern Sie nicht und sichern Sie sich jetzt Ihr Stück Vorarlberg!
Unsere Angaben beziehen sich auf die Auskünfte des Eigentümers. Irrtum und Änderungen vorbehalten.
Noch nichts gefunden? Wir informieren Sie über geeignete Immobilienangebote noch vor allen anderen.
Legen Sie jetzt kostenlos Ihren individuellen Suchagenten unter folgendem Link an. Wir schicken Ihnen passende Immobilien exklusiv vorab zu.
Suchagent anlegen
Der Vermittler ist als Doppelmakler tätig.
Infrastruktur / Entfernungen
Gesundheit
Arzt <750m
Apotheke <1.000m
Krankenhaus <6.500m
Klinik <3.750m
Kinder & Schulen
Schule <1.000m
Kindergarten <500m
Universität <9.000m
Höhere Schule <5.250m
Nahversorgung
Supermarkt <500m
Bäckerei <750m
Einkaufszentrum <1.250m
Sonstige
Bank <750m
Geldautomat <750m
Post <750m
Polizei <1.250m
Verkehr
Bus <250m
Bahnhof <1.500m
Autobahnanschluss <1.000m
Flughafen <7.500m
Angaben Entfernung Luftlinie / Quelle: OpenStreetMap
Objektdaten
Dokumente / Links
Flächen
- Grundstücksfläche
- 2.223m²
Kosten
- Kaufpreis Brutto
- € 1.799.000,00
Grundstücke zum Kaufen im Umkreis von Fußach
Grundstücke zum Kaufen im Umkreis von Fußach
Grundstücke zum Kaufen in Österreich
Andere Besucher suchen nach...
- Grundstücke kaufen in 3400 Weidlingbach
- Wohnungen kaufen in 4663 Laakirchen
- Häuser in 7471 Rechnitz
- Wohnungen in 2410 Hainburg an der Donau
- Häuser kaufen in 2432 Schwadorf
- Wohnungen kaufen in 3002 Purkersdorf
- Häuser in 3150 Wilhelmsburg
- Wohnungen kaufen in 3470 Engelmannsbrunn
- Grundstücke kaufen im Bezirk Mattersburg
- Grundstücke kaufen im Bezirk Gmunden