Wo Vision auf Potenzial trifft: NEUNKIRCHEN - Entwicklungsobjekt in Bestlage
Beschreibung
Diese außergewöhnliche Liegenschaft im Herzen von Neunkirchen vereint Substanz, Raum und Perspektive – und bietet eine seltene Gelegenheit für Bauträger und Investoren mit Weitblick.
Drohnenflug: Tauchen Sie ein in die Atmosphäre dieser Immobilie – unser Drohnenflug zeigt Ihnen eindrucksvoll die Umgebungund das Objekt aus der Luft: YouTube FRE: VIDEO ANSEHEN
Auf einem großzügigen Areal von rund 4.858 m² erstreckt sich eine charmante Wohnhausanlage mit drei historischen Zinshäusern und insgesamt 40 Wohneinheiten mit einer Nutzfläche von ca. 1.933 m² mit einen Pontenzial bis zu ca....
Diese außergewöhnliche Liegenschaft im Herzen von Neunkirchen vereint Substanz, Raum und Perspektive – und bietet eine seltene Gelegenheit für Bauträger und Investoren mit Weitblick.
Drohnenflug:
Tauchen Sie ein in die Atmosphäre dieser Immobilie – unser Drohnenflug zeigt Ihnen eindrucksvoll die Umgebungund das Objekt aus der Luft:
YouTube FRE: VIDEO ANSEHEN
Auf einem großzügigen Areal von rund 4.858 m² erstreckt sich eine charmante Wohnhausanlage mit drei historischen Zinshäusern und insgesamt 40 Wohneinheiten mit einer Nutzfläche von ca. 1.933 m² mit einen Pontenzial bis zu ca. 3.300 m² Nutzfläche. Hier wartet ein Stück Stadtgeschichte darauf, in ein neues Kapitel geführt zu werden.
Preis pro Quadratmeter (m²) Nutzfläche liegt bei den Bestandsobjekten bei € 950,--
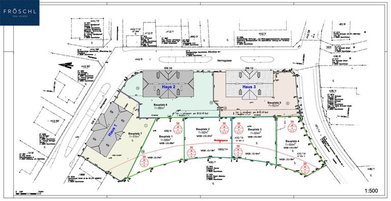
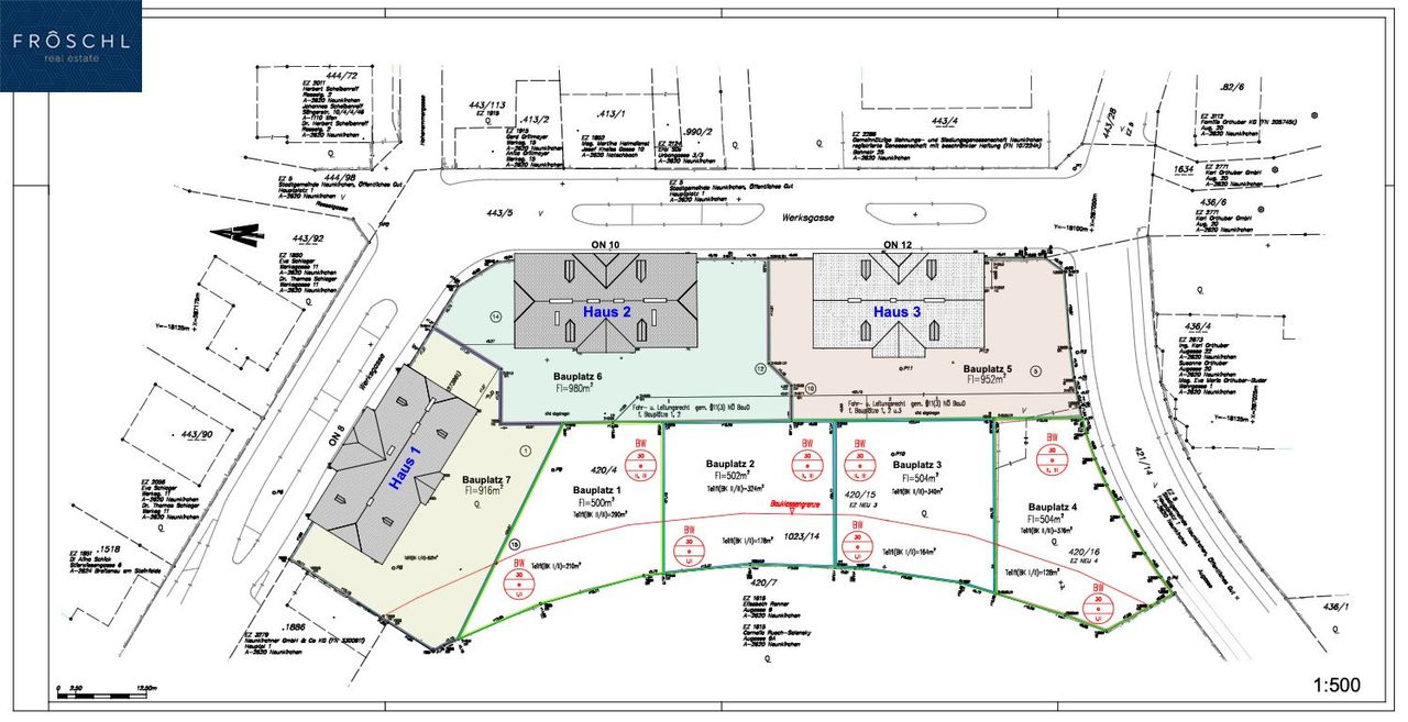
Das Besondere: Neben der Bestandssubstanz umfasst die Liegenschaft eine wertvolle Baureserve – vier eigenständige, voll aufgeschlossene Baugrundstücke, die Raum für modernes, nachhaltiges Wohnen schaffen können.
Entwicklung mit Substanz
Die Bestandsgebäude (Baujahre ca. 1910–1913) bieten eine solide Grundlage für eine umfassende Sanierung. Erste Maßnahmen wurden in den 1990er Jahren umgesetzt – darunter die Erneuerung der Elektroinstallationen, Sanierung der Fenster sowie Neueindeckung der Dächer inklusive Spenglerarbeiten. Eine behutsame Revitalisierung eröffnet neue Nutzungsperspektiven – vom klassischen Mietwohnbau bis hin zu innovativen Wohnkonzepten.
Neubaupotenzial mit klaren Rahmenbedingungen
Die vier Bauparzellen verfügen jeweils über eine eigene Einlagezahl, liegen nebeneinander und eröffnen vielfältige Gestaltungsmöglichkeiten. Die Widmung erlaubt eine offene Bauweise mit Bauklasse II & III sowie einer Bebauungsdichte von 30 % – ein ideales Setting für zukunftsorientierte Neubauprojekte. Die Grundstücke können sowohl einzeln als auch im Paket erworben werden.
Für Entwickler mit Weitblick
Ob zur Neubelebung der historischen Substanz oder zur Schaffung neuer Wohnräume: Diese Liegenschaft bietet ein starkes Fundament für nachhaltige Immobilienentwicklung – mit langfristigem Wertsteigerungspotenzial und einer begehrten Lage im südlichen Niederösterreich.
Services & Begleitung während der Entwicklung
Auf Wunsch begleiten wir Sie umfassend durch den Entwicklungsprozess – von der Machbarkeitsstudie über die Einreichplanung bis hin zur Entwicklung individueller Nutzungskonzepte für Bestand und Neubau.
Ein Ort mit Geschichte, bereit für neue Ideen. Ideal für Projektentwickler, die urbanen Lebensraum mit Charakter und Perspektive schaffen möchten.
Bei einer qualifizierten Anfrage (Firmenname, Firmenadresse, Email-Adresse, Mobile-Nummer) übermitteln wir Ihnen gerne zusätzliche Unterlagen zur Durchsicht:
- Einreichpläne Objekte Werksgasse 8, 10 und 12
- Teilungsplan - aktuellste Version
- Forecast - Annahme der Zinsliste
Nutzen Sie die einmalige Gelegenheit, dieses außergewöhnliche Entwicklungsprojekt in Neunkirchen zu übernehmen.
Vereinbaren Sie noch heute einen Besichtigungstermin und lassen Sie sich von dieser beeindruckenden Immobilie überzeugen! Wir freuen uns darauf, Sie persönlich zu begrüßen. Bei weiteren Fragen stehen wir Ihnen jederzeit unter +43 664 1838 268 zur Verfügung oder senden Sie uns eine E-Mail an christian@froeschl.estate.
Besuchen Sie www.froeschl.estate und entdecken Sie unsere neuesten Objekte sowie beeindruckende 360º virtuelle Rundgänge! Wir freuen uns darauf, gemeinsam mit Ihnen geführte virtuelle Besichtigungen zu unternehmen.
Unsere Angaben basieren auf den Informationen des Eigentümers; Änderungen und Irrtümer sind vorbehalten.
Sie möchten den Wert einer Immobilie wissen? Bewertungen professionell und präzise.
FRÖSCHL real estate ermittelt den Verkehrswert Ihrer Liegenschaft. Das schriftliche Bewertungsgutachten ist ein umfangreiches Dokument, aus dem dieser hervorgeht. Wir ermitteln abhängig von Ihrem Objekt über den Vergleichswert, den Sachwert oder den Ertragswert, unter Beachtung aller relevanten Unterlagen, den aktuellen Marktwert ihrer Immobilie. Gerne übernehmen wir Bewertungen auch aus anderen Anlässen wie innerfamiliären Angelegenheiten, Erbschaften oder steuerlichen Anforderungen und dergleichen.
Wir weisen darauf hin, dass zwischen dem Vermittler und dem zu vermittelnden Dritten ein familiäres oder wirtschaftliches Naheverhältnis besteht.
Der Vermittler ist als Doppelmakler tätig.
Infrastruktur / Entfernungen
Gesundheit
Arzt <500m
Apotheke <1.000m
Krankenhaus <1.000m
Kinder & Schulen
Schule <500m
Kindergarten <1.500m
Nahversorgung
Supermarkt <500m
Bäckerei <1.000m
Einkaufszentrum <1.000m
Sonstige
Bank <1.000m
Geldautomat <1.000m
Polizei <1.000m
Post <1.000m
Verkehr
Bus <500m
Bahnhof <1.500m
Autobahnanschluss <2.000m
Angaben Entfernung Luftlinie / Quelle: OpenStreetMap
Objektdaten
Ausstattung
- Kabel/SAT-TV
- Fahrradraum
- Bad mit Dusche
- Bad mit Fenster
- Fliesenboden
- Steinboden
- Parkettboden
- Satteldach
- Massiv Bauweise
Dokumente / Links
Zustand
- Zustand
- SANIERUNGSBEDUERFTIG
- Alter
- ALTBAU
- HWB
- 175 kWh/m² pro Jahr
- Klasse HWB
- D
- fGEE
- 2.2
- Klasse fGEE
- C
Flächen
- Anzahl der Zimmer
- 52
- Anzahl der Badezimmer
- 40
- Nutzfläche
- 2.095m²
- Grundstücksfläche
- 4.858m²
Kosten
- Kaufpreis Brutto
- € 2.450.000,00
Verwaltung
- Verfügbar ab
- Nach Vereinbarung
Andere Besucher suchen nach...
- Grundstücke kaufen in 3400 Weidlingbach
- Wohnungen kaufen in 4663 Laakirchen
- Häuser in 7471 Rechnitz
- Wohnungen in 2410 Hainburg an der Donau
- Häuser kaufen in 2432 Schwadorf
- Wohnungen kaufen in 3002 Purkersdorf
- Häuser in 3150 Wilhelmsburg
- Wohnungen kaufen in 3470 Engelmannsbrunn
- Grundstücke kaufen im Bezirk Mattersburg
- Grundstücke kaufen im Bezirk Gmunden